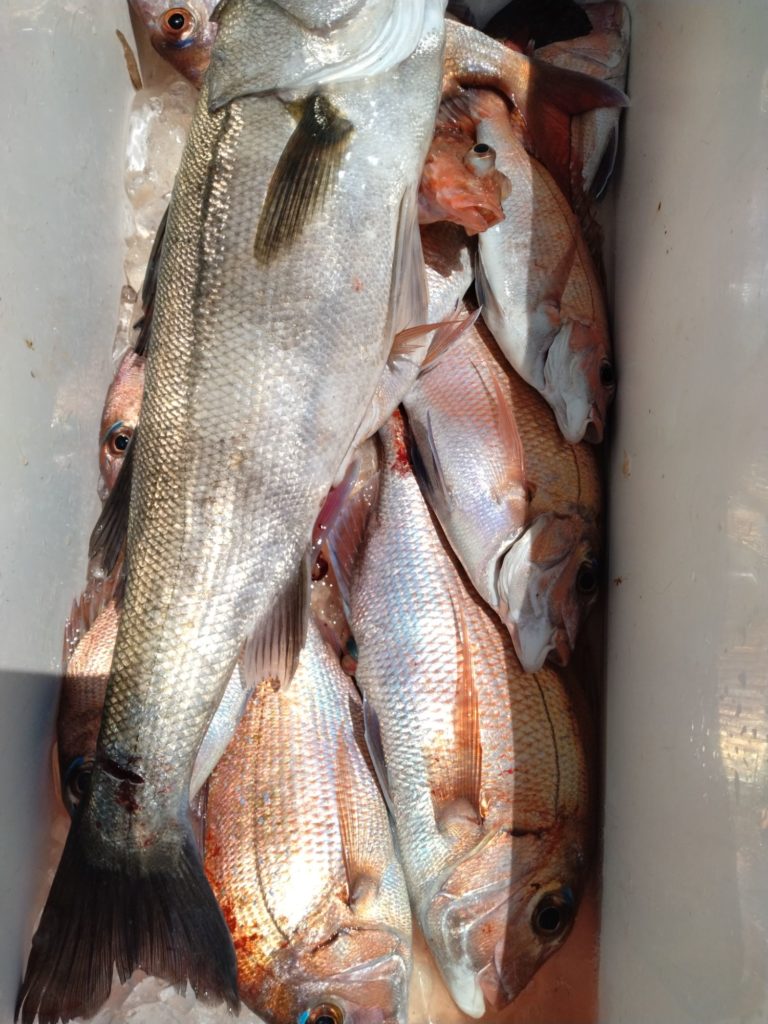
2024.05.05 釣果 釣り釣果 5日 日曜日 マダイ 26−40cm 3−7匹 マダカ 58cm 1匹 メバル、カサゴ他 Tweet Share RSS 釣果 釣り釣果 前の記事 お知らせ 次の記事